Fiscalía entrega segundo informe y refuerza coordinación con el ejecutivo
El Fiscal General del Estado, Juan Manuel León León, realizó la entrega del Segundo Informe de Actividades al titular del...
El Fiscal General del Estado, Juan Manuel León León, realizó la entrega del Segundo Informe de Actividades al titular del...
El percance movilizó a servicios de emergencia, pero no se reportaron personas lesionadas. Un vehículo salió del camino durante la...
En un ejercicio de responsabilidad institucional, las y los regidores de la coalición MORENA, Partido del Trabajo y Verde Ecologista...
También se impulsa el Orden en las finanzas municipales Se brinda reconocimiento a los héroes anónimos que apoyaron en el...
de manera inmediata sus necesidades y acompañarlas en el proceso de recuperación. Esta mañana, la alcaldesa visitó a las familias...
El Gobierno del Estado avanza en la organización del K’íiwik: Feria Turística del Mundo Maya 2026, proyecto prioritario impulsado por...
La Presidenta de México, Claudia Sheinbaum Pardo, señaló que lo que se busca es tener más obra que mejore la...
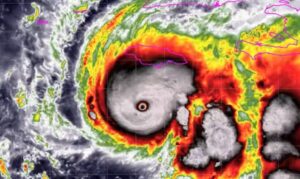
El Doctor Phil Klotzbach y su grupo de científicos en la Universidad Estatal de Colorado emitieron hoy el primer pronóstico...
El delegado de la Secretaría del Bienestar en Yucatán, Benito Mateo Rodríguez, anunció que el próximo lunes 13 de abril...
El hallazgo del cuerpo sin vida de un hombre en un terreno del fraccionamiento Linderos, en la comisaría de Yaxché...